Skip to Main Content
Departments
Government
How do I...
About Us
Search
Home
News Flash
Module Search
Enter Search Terms
All categories
Town of Braintree News
Tools
RSS
Categories
All Categories
Town of Braintree News
News Flash Home
The original item was published from 6/25/2020 10:03:31 AM to 6/25/2020 10:05:16 AM.
News Flash
Town of Braintree News
Posted on: June 25, 2020
[ARCHIVED] Liberty/Grove Information Session - Presentation/Plans
Presentation and Plans Presented at the Liberty/Grove Information Session - June 23, 2020
Liberty/Grove Information Session PowerPoint Presentation (PDF)
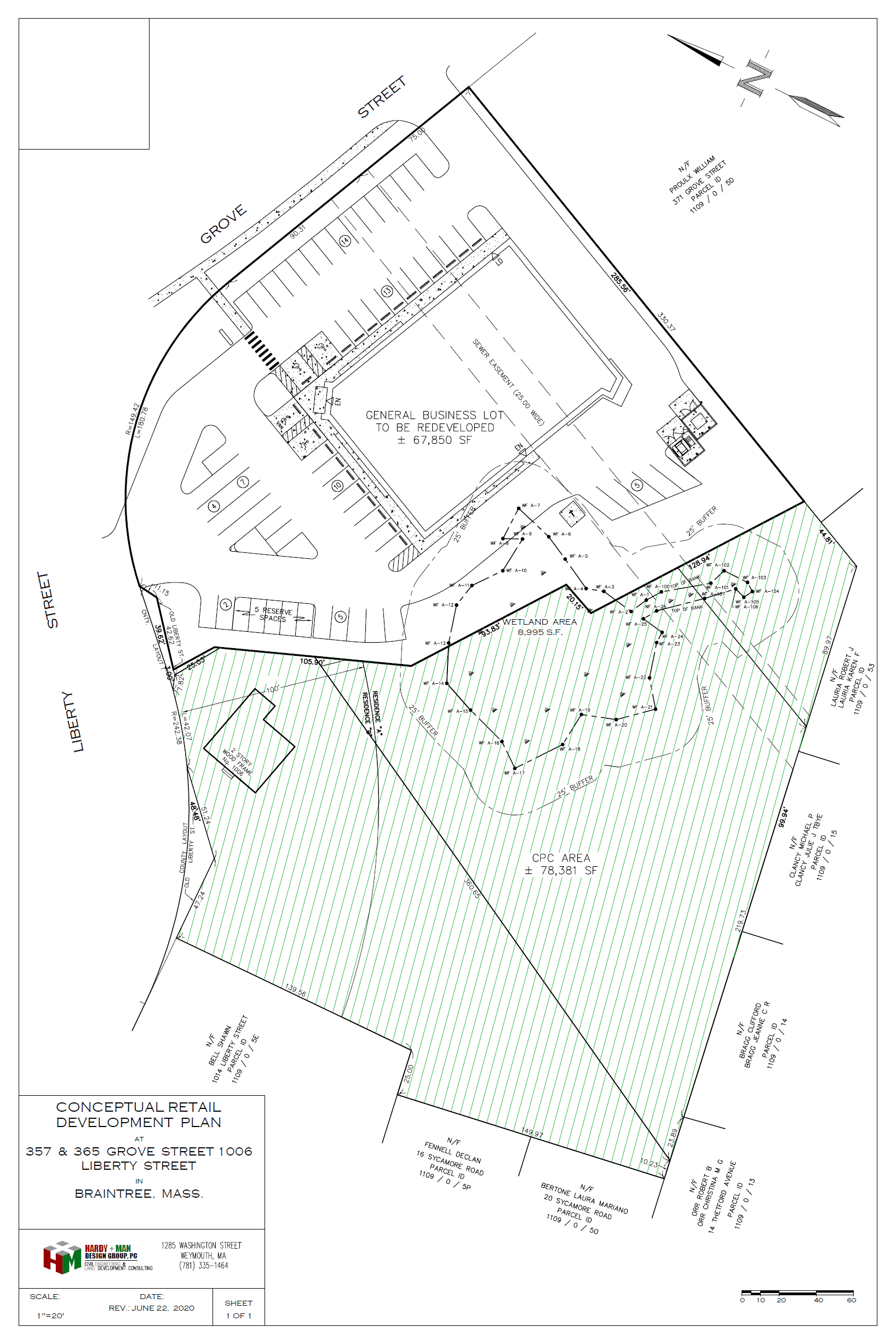
ReZoning Plan For 357 and 365 Grove and 1006 Liberty Street (PDF)
Conceptual Retail Concept Development Plan (PDF)
4.
Development and Preservation Plan
Other News in Town of Braintree News
The 02184 - February 2026
Posted on: February 4, 2026
The Weekly Snapshot February 16-22
Posted on: February 13, 2026
The Weekly Snapshot February 23-March 1
Posted on: February 20, 2026
Snow Storm Alert
Posted on: February 21, 2026
Call to Artists
Posted on: February 4, 2026
Deputy Chief Joseph to Serve as Acting Chief of BPD
Posted on: February 12, 2026
Preparing Before the Storm
Posted on: February 11, 2026
Snow and Ice Removal Tips
Posted on: January 29, 2026
Master Facilities Planning Process Community Forum Sessions
Posted on: January 28, 2026 | Last Modified on: February 9, 2026
Free Oral Healthcare for Kids
Posted on: January 30, 2026
MA250
Posted on: December 16, 2025
Opioid Remediation Settlement Funding
Posted on: January 20, 2026
Press Release Police Chief Timothy Cohoon Resignation
Posted on: January 12, 2026
Free Community Meal
Posted on: September 12, 2025
Braintree Public Schools Master Facilities Planning
Posted on: November 13, 2025
Cultural Council Meetings
Posted on: October 28, 2025
Trash and Recycling Updates
Posted on: November 19, 2025
Herring and Fisheries Commission
Posted on: October 27, 2025
Town of Braintree Receives Updated Credit Grade From Moody's Rating
Posted on: October 17, 2025
Braintree Public Schools and the Braintree Education Association reach agreement on new contract
Posted on: December 19, 2025
MAYOR JOYCE SHARES UPDATE ON PLANS FOR FORMER MOTEL 6 PROPERTY
Posted on: September 24, 2024
Live Edit
Government Websites by
CivicPlus®
Loading
Loading
Arrow Left
Arrow Right
[]
Slideshow Left Arrow
Slideshow Right Arrow